土地情報 Land

天神二丁目(3期)

Property Data

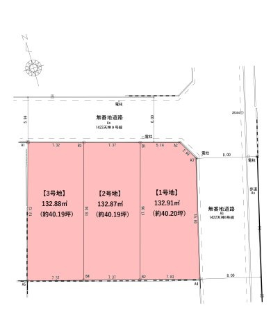
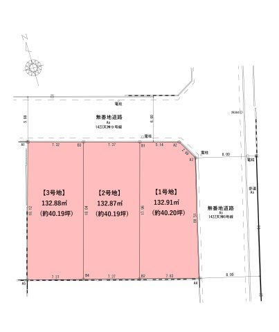
物件名 天神二丁目(3期) 1号地
価格 2,490万円
交通 JR鹿児島本線「九州工大前駅」 徒歩10分
JR鹿児島本線「戸畑駅」 徒歩23分
JR筑豊本線「若松駅」 徒歩50分
土地面積 132.91㎡(40.21坪)
セールスポイント ・あやめが丘小学校 徒歩7分、飛幡中学校 徒歩6分 ・第一種住居地域、落ち着いた住宅街 ・前面道路 6m超で車の出入りもスムーズ ・建築条件なし/お好きなハウスメーカーで自由設計 ・子育て世代に安心の通学距離、便利な生活環境
種別/構造 土地 / -
土地権利 所有権
建ぺい率/容積率 60% / 200%
用途地域 第一種住居
住所 福岡県北九州市戸畑区天神2丁目8-18
部屋番号/区画 1号地
入居条件 建築条件なし
建物設備 水道(公営)、排水(公共)、ガス(都市ガス)、電気有
私道負担面積 -
建築条件
セットバック
地目 宅地
地勢 -
都市計画 市街化区域
国土法届出要否 不要
その他法令上の制限 景観法、宅地造成及び特定盛土等規制法、■都市再生特別措置法 ■廃棄物の処理及び清掃に関する法律 ■高齢者、障害者等の移動等の円滑化の促進に関する法律 ■居住誘導区域内 ■都市機能誘導区域外 ■法第22
現況/引渡時期 上物有 / 相談
取引態様 売主
物件管理番号 610706866
情報更新日 2026年2月5日
次回更新予定日 2026年2月12日
備考 学校区:あやめが丘小学校、飛幡中学校

※水道引込工事代別途必要

※現況:古家あり(解体更地引き渡し)

下記ボタンより、資料をダウンロードしていただけます

※謄本をご希望の方は別途お問い合わせください

CONTACT

    お電話でのお問い合わせはこちらから
    電話アイコン 093-383-9382

    [営業]9:00~18:00
    [定休]なし/GW、お盆、年末年始除く

    分譲地に載っていないエリアでの土地探しも鬼丸ハウスご相談ください。
    「ご意見・ご質問等」にご希望のエリアをご入力ください。
    お問い合わせの物件
    ご希望必須
    何を見て当社HPに
    興味を持ちましたか?必須
    お名前必須
    郵便番号必須
    都道府県必須
    ご住所必須
    ※建物名・部屋番号までご記入ください。
    見学希望日
    見学希望の場合はご入力ください。
    見学希望時間
    電話番号必須
    (半角数字・ハイフンなし)
    メールアドレス必須
    ご意見・ご質問等
    個人情報の保護について必須
    ※当フォームのご利用にあたっては、「個人情報保護方針」にご同意いただく必要があります。 ご同意いただける場合は、上記の「同意する」にチェックをつけたうえでご利用ください。

    Contact

    • 鬼丸ハウス本社

      〒800-0213
      福岡県北九州市小倉南区中曽根東2-13-16

      093-383-9382(9:00〜18:00)

      [営業]9:00~18:00
      [定休]なし/GW、お盆、年末年始除く

    各支店への家づくり・土地探しのお悩み解決!
    ご相談・来店予約はこちら