土地情報 Land

田原新町一丁目(2期)

Property Data

物件名 田原新町一丁目(2期)
価格 1,480万円
交通 JR日豊本線「下曽根駅」 徒歩11分
JR日豊本線「安部山公園駅」 徒歩47分
JR日豊本線「朽網駅」 徒歩51分
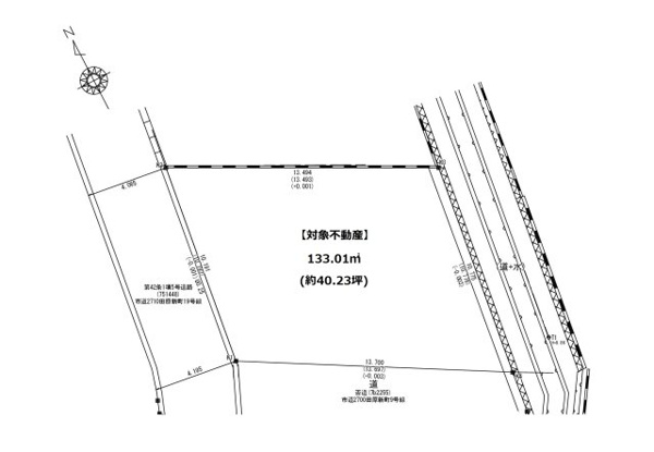
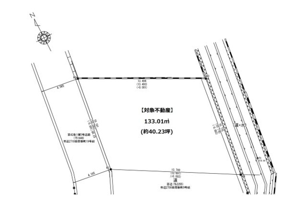
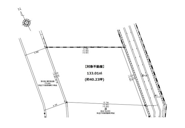
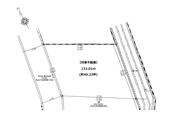
土地面積 133.01㎡(40.24坪)
セールスポイント 【建築条件なし】コンビニ・スーパー・薬局・銀行が徒歩5分圏内で、快適な生活環境が整う理想の住まい用地です。
種別/構造 土地 / -
土地権利 所有権
建ぺい率/容積率 60% / 160%
用途地域 第一種住居
住所 福岡県北九州市小倉南区田原新町1丁目11-8
部屋番号/区画 -
入居条件 建築条件なし
建物設備 水道(公営)、排水(公共)、ガス(都市ガス)、電気有
私道負担面積 -
建築条件
セットバック
地目 宅地
地勢 -
都市計画 市街化区域
国土法届出要否 不要
その他法令上の制限 景観法、砂防法、■廃棄物の処理及び清掃に関する法律 ■都市再生特別措置法 ■高齢者、障害者等の移動等の円滑化の促進に関する法律 ■都市の低炭素化の促進に関する法律 ■法第22条区域
現況/引渡時期 更地 / 相談
取引態様 代理
物件管理番号 557263169
情報更新日 2025年11月11日
次回更新予定日 2025年11月17日
備考 学校区:田原小学校、田原中学校

※水道引込工事代別途必要

CONTACT

    お電話でのお問い合わせはこちらから
    電話アイコン 093-383-9382

    [営業]9:00~18:00
    [定休]なし/GW、お盆、年末年始除く

    分譲地に載っていないエリアでの土地探しも鬼丸ハウスご相談ください。
    「ご意見・ご質問等」にご希望のエリアをご入力ください。
    お問い合わせの物件
    ご希望必須
    何を見て当社HPに
    興味を持ちましたか?必須
    お名前必須
    郵便番号必須
    都道府県必須
    ご住所必須
    ※建物名・部屋番号までご記入ください。
    見学希望日
    見学希望の場合はご入力ください。
    見学希望時間
    電話番号必須
    (半角数字・ハイフンなし)
    メールアドレス必須
    ご意見・ご質問等
    個人情報の保護について必須
    ※当フォームのご利用にあたっては、「個人情報保護方針」にご同意いただく必要があります。 ご同意いただける場合は、上記の「同意する」にチェックをつけたうえでご利用ください。

    Contact

    • 鬼丸ハウス本社

      〒800-0213
      福岡県北九州市小倉南区中曽根東2-13-16

      093-383-9382(9:00〜18:00)

      [営業]9:00~18:00
      [定休]なし/GW、お盆、年末年始除く

    各支店への家づくり・土地探しのお悩み解決!
    ご相談・来店予約はこちら