土地情報 Land

久留米市荘島町

Property Data

物件名 久留米市荘島町
価格 1,180万円
交通 JR鹿児島本線「久留米駅」 徒歩11分
西鉄大牟田線「花畑駅」 徒歩21分
西鉄大牟田線「西鉄久留米駅」 徒歩22分
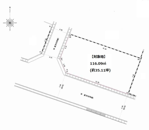
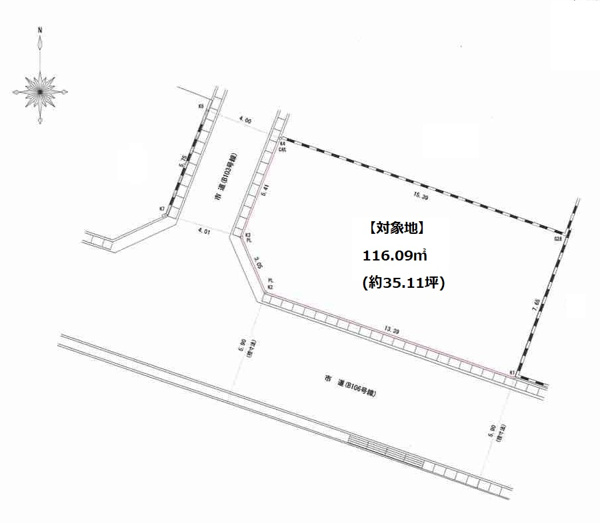
土地面積 116.09㎡(35.12坪)
セールスポイント 角地で開放感あり、116.09㎡(35.11坪)の陽当たり良好な土地。荘島小徒歩3分、江南中徒歩11分、JR久留米駅徒歩11分で便利な立地。周辺施設も充実!
種別/構造 土地 / -
土地権利 所有権
建ぺい率/容積率 60% / 200%
用途地域 第一種住居
住所 福岡県久留米市荘島町10-8
部屋番号/区画 -
入居条件 建築条件なし
建物設備 水道(公営)、排水(公共)、ガス(都市ガス)、電気有
私道負担面積 -
建築条件
セットバック
地目 宅地
地勢 平坦
都市計画 市街化区域
国土法届出要否 不要
その他法令上の制限 文化財保護法、景観法、準防火地域、■都市再生特別措置法
現況/引渡時期 更地 / 相談
取引態様 売主
物件管理番号 542547545
情報更新日 2026年2月5日
次回更新予定日 2026年2月12日
備考 現況:賃貸中(月極駐車場として)
引渡し時期:相談
※現況は駐車場として貸出中ですが、売却可能です

学校区:荘島小学校、江南中学校

※水道引込工事代別途必要

下記ボタンより、資料をダウンロードしていただけます

※謄本をご希望の方は別途お問い合わせください

CONTACT

    お電話でのお問い合わせはこちらから
    電話アイコン 093-383-9382

    [営業]9:00~18:00
    [定休]なし/GW、お盆、年末年始除く

    分譲地に載っていないエリアでの土地探しも鬼丸ハウスご相談ください。
    「ご意見・ご質問等」にご希望のエリアをご入力ください。
    お問い合わせの物件
    ご希望必須
    何を見て当社HPに
    興味を持ちましたか?必須
    お名前必須
    郵便番号必須
    都道府県必須
    ご住所必須
    ※建物名・部屋番号までご記入ください。
    見学希望日
    見学希望の場合はご入力ください。
    見学希望時間
    電話番号必須
    (半角数字・ハイフンなし)
    メールアドレス必須
    ご意見・ご質問等
    個人情報の保護について必須
    ※当フォームのご利用にあたっては、「個人情報保護方針」にご同意いただく必要があります。 ご同意いただける場合は、上記の「同意する」にチェックをつけたうえでご利用ください。

    Contact

    • 鬼丸ハウス本社

      〒800-0213
      福岡県北九州市小倉南区中曽根東2-13-16

      093-383-9382(9:00〜18:00)

      [営業]9:00~18:00
      [定休]なし/GW、お盆、年末年始除く

    各支店への家づくり・土地探しのお悩み解決!
    ご相談・来店予約はこちら